呼玛中国十大门窗(国内十大门窗)
呼玛中国十大门窗(国内十大门窗) 本文目录一览: 1、中国门窗十大品牌有哪些?2、中国门窗一线品牌十大排名3、中国门窗十大品牌(公认)?4、中国门窗十大品牌有哪些? 中国门...
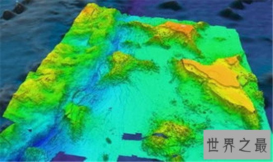
世界上最深的海沟,传说中的马里亚纳海沟
世界上总有一些地方笼罩着神秘的色彩,领的科学家们前去探索,比如科学家已经了解到世界最高峰是珠穆朗玛峰,世界上最深的海沟是马里亚纳海沟。今天我们一起走进马里亚纳海沟,感受它的深不可测吧。
世界第一深沟

海洋自古以来都存在着各种未解之谜呀,所以人们对马里亚纳海沟的探索也一直都在继续。它的深度达到了11000米,就连世界上的最高峰珠穆朗玛峰放入这个海沟中,也可以直接淹没。可见称呼它是世界上最深的海沟,绝对是毋庸置疑的。

马里亚纳海沟,它位于北太平洋西部,紧挨着马里亚纳群岛东部,约亚欧两大板块之间。这块海沟的形状为一个弧形,据它的全长大约为8万米,并且普遍深度都在8000米以上。海沟具有非常悠久的历史,大约形成6000万年前。
形成原因

世人一直惊讶于如此之深的海沟是如何形成的。科学家们也不断的做出各种解释,最有科学依据的一个解释就是由于激烈的板块运动碰撞所形成的。正如大家所熟知的,一般来说板块的运动一是形成高山,二是形成海洋。

马里亚纳海沟就是由海洋板块和陆地板块碰撞形成,当密度较大的海洋板块插入到陆地板块中后,地幔会逐渐的消失,从而形成海沟,在其周围会形成连绵不断的高山或是岛屿。
神秘的海底世界

科学家们曾经乘坐潜水器到达马里亚纳海沟进行探测,当下降到1000米左右的时候,就会感受到无比强大的水压,并且水温极其低,少数的动物能够在这里生存。

潜水员们也曾描述在1000米的时候,各种常见的海洋生物,比如虾,抹香鲸以及章鱼生存于此,在3000米左右的时候发现了琵琶鱼,8000米以下的深度,科学家们又发现了许许多多新的鱼种。

世界上最深的海沟,除了拥有各种丰富的海洋生物资源,还有许多矿藏,最值得一提的就是它。深海的碳含量非常高,科学家们也一直研究如何利用这些,他为人类谋得更大的利润。

尽管我们已经探知海沟的最深处有11000米,但是对着复杂的海底世界,人们依旧充满探知的欲望。在神秘的海底世界中,是否有不为人知的其他物种,还需要一探究竟,等待科技更加强大,破解深海的奥秘吧!
呼玛中国十大门窗(国内十大门窗) 本文目录一览: 1、中国门窗十大品牌有哪些?2、中国门窗一线品牌十大排名3、中国门窗十大品牌(公认)?4、中国门窗十大品牌有哪些? 中国门...
初唐四杰是哪四杰?初唐四杰是哪四位 中国唐代初年的时候,有许多有名的诗人,他们创作了许多佳作,传诵至今。其中 王勃 是唐代较为杰出的诗人之一,被称为 初唐四杰 ,那么初唐...
世界十大恐怖擂台赛(全球十大恐怖格斗术) 本文目录一览: 1、美国的那种暴力摔跤叫什么,稍微介绍下2、WWE史上最具破坏力双打组合3、dnf那个职业最好4、怎样祛斑美白 美国的那种...
世界上最早的笔,中国毛笔(距今约有3500年) 虽说小编科普过《世界上最早的文字》和文字相辅相成的应该是笔。因为这些古人留下来的都是用笔记录下来的,像树枝写字或者刀科都...
猪鳄是一种史前鳄鱼,通过化石考古发现它们的存在 相信我们身边有不少人喜欢看考古类的纪录片,这些纪录片通常给我讲述一些史前生物,那些史前生物有些属于自己的特点,它们的...
中国八大富可敌国的省份,你的家乡能抵几个国家 大家都知道中国目前是世界第二大经济体,而中国各个省份自然也不会太差,其中有不少省份的GDP超过了世界上大多数国家,下面是中...
世界十大精密加工中心品牌(全球最好的精密加工中心) 本文目录一览: 1、国产数控加工中心十大排行榜2、精密五金加工公司哪家好3、CNC加工中心都有那些品牌,哪个品牌性价比最高...
中国十大钢厂家排名(中国产钢企业排名) 本文目录一览: 1、中国十大钢铁集团排名2、钢结构公司哪家便宜些?3、中国十大钢铁企业都有哪些? 中国十大钢铁集团排名 全国钢厂排名前...
世界十大著名佛像,三座来自中国第一无比宏伟 导语:世界上有很多人信奉佛教,也因此出现了很多纪念佛教的建筑,比如佛像。世界上的佛像有很多,无比宏伟美丽,其中最有名的有...
世界上最大的陆地龟,加拉帕戈斯象龟 乌龟当坐骑可不是神话里才有的,加拉帕戈斯象龟体长能够达到1.5米的,在它的龟壳上做个人完全不是问题。这种乌龟是世界上最大的 陆龟 ,寿...
鄯善恐龙化石,中国最大的恐龙化石 鄯善恐龙化石,中国最大的恐龙化石。时光倒流1.6亿年。阳光明媚,静谧的森林里,一个身长35米、体重30吨的庞然大物,悠然出现在密林中。它不...
最繁盛的乾隆盛世,原来这么繁荣 说起清朝,咱们的第一印象或许都是:我国最后一个封建王朝、康熙、雍正、闭关锁国...... 但是在当时的乾隆统治可谓是最殷实了,不少人都将这个...
中国十大避暑城市教案(原创 2020年国内最受欢迎的避暑城市排) 本文目录一览: 1、中国最适合避暑的十大城市2、夏天国内避暑胜地有哪些十大避暑胜地推荐3、中国十大避暑胜地有哪...
世界十大奢侈品衣服(世界十大奢侈品牌衣服的排名) 本文目录一览: 1、男人心目中十大奢侈品牌服饰都是哪些?2、十大奢侈品牌衣服排名3、服装大牌有哪些 男人心目中十大奢侈品牌...
世界十大机场,第一面积最大,北京国际机场排第十 飞机以速度快成为很多人的出行工具,随着世界经济的稳步发展,世界上的机场数量也在不断上升,那么世界上最好的机场有哪些呢...
中国四大石窟,中国佛教最具特色的文化瑰宝 我们中国的文化博大精深,而且历史文化悠久,而且同时也有很多著名景点,从古代一直留到现代,源远流长,说起最具有中国佛教特色的...
长相最“丑”的大鸟 会鞠躬懂礼貌 其实凶猛到能把鳄鱼当饭吃 鲸头鹳 ,这种翼展能达到2.6米的大鸟,在外表上看起来可能有些呆萌、蠢 笨 。这种所谓的“蠢鸟”实际上具备很强的战...
中国海拔最高的盆地,高达3000米! 我国有着最高的山峰,喜马拉雅山,这个山峰,有着好大的身躯,吸引着国内外闻名而来,征服它、攀登它、挑战它。而今天要介绍的却不是山峰,...
锤头鲨的生存能力很强,这与奇怪的头部造型有关系 有一种鲨鱼它的头形状特别像锤头,所以人们叫它锤头鲨。其实它的学名叫做双髻鲨。这种鲨鱼特殊的头型是有原因的,因为它的眼...
中国搏击十大技巧冠军(中国搏击十大技巧冠军名单) 本文目录一览: 1、在自由搏击运动当中,成就最高的中国运动员是谁?2、中国顶级拳手有哪些?3、中国成就最高的自由搏击运动员...
中国十大幕墙铝板企业(幕墙铝板公司) 本文目录一览: 1、中国十强铝材是哪十个品牌?2、新国内铝单板产品十大品牌厂家?3、幕墙公司十大排行 中国十强铝材是哪十个品牌? 1、信合...
世界十大名牌腰带图标(世界顶级腰带品牌) 本文目录一览: 1、奢侈品腰带排名前十2、男士什么腰带品牌排行3、世界名牌的皮带有几种? 奢侈品腰带排名前十 奢侈品腰带排名前十:...
世界上最小的猫有多小?体重只有1公斤 想必大家都对猫科动物有不少的了解,像狮子, 老虎 豹子这些野生动物,还有我们的宠物 猫咪 ,比如布偶猫还有加菲猫。但是大家知道 世界上...
世界上最厉害的5名黑客 最后一位曾被警方逮捕 随着互联网的快速发展,让我们的日常生活变得越来越便捷,在我们出行的时候,可能只需要携带手机、电脑、ipad等电子产品,生活中的...